Vorbild/ Gleisanschlüsse:

 

Vorbemerkung:

Die Bezeichnung der Gleisanschlüsse in Odendorf bezieht sich jeweils auf die Gleise an denen sie lagen und wurde den vorliegenden offiziellen Gleisplänen entnommen. Der Anschluß 1a ist also der erste Anschluß an Gleis 1. Die Bezeichnung für den Anschluß 1b/2 habe ich allerdings, in Fortführung dieses Systems, selber angelegt, da dieser Anschluß in den originalen Gleisplänen keine eigene Bezeichnung hatte.

 


Anschluß 1a: 

Freiladestrasse (ab 1880 bis 1982) mit Viehladerampe (ab 1880 bis ca. 1912),

Schuppen "Herz & Söhne" (ab ca. 1912 bis 1933) später "Landhandel Kraemer" (ab 19??)

 

Gemeinsam mit dem Anschluß 1b war dies der erste Gleisanschluß im Bahnhof Odendorf, angelegt zusammen mit dem bau der Strecke. Ursprünglich bestand dieser Anschluß nur aus der Viehladerampe, welche aber auch zum Verladen von Fahrzeugen geeignet war. Etwa im Jahre 1912 wurde an die Rampe ein zweistöckiger Schuppen in Fachwerkbauweise angesetzt. In dem Gleisplan vom Juni 1912 erscheint dieser zum ersten Male unter der Bezeichnung "Lagerschuppen `Herz & Söhne´". Die Rampe wurde später u.a. auch regelmäßig von der Firma Wisskirchen aus Ludendorf zum Ver- und Entladen landwirtschaftlicher Geräte benutzt.

 

Inhaber der jüdischen Getreidefirma "Eduard Herz & Söhne" war bis zur Enteignung durch die Nationalsozialisten Emil Herz, aus dem etwa 3km entfernten Flamersheim.

(Diese Angabe aus: www.hans-dieter-arntz.de - Vergangenheitsbewältigung auf  privater Ebene)

 

Dieser Schuppen wurde später sogar noch einmal durch einen - ebenfalls zweigeschossigen - Anbau in Richtung des Empfangsgebäudes erweitert. Im vorderen - direkt an die Rampe anschließendem Teil - lag der Büroteil. Das Gebäude stand noch lange, nachdem es das Gleis (und sogar die Rampe) schon nicht mehr gab. Bis zum Schluss hing an der, der Flamersheimer Strasse zugewandten, Stirnseite ein großes hölzerne Schild mit der Aufschrift: "Landhandel M. Kraemer". Im Dezember 1995 brannte das charkteristische Gebäude in Teilen aus (Berichte aus G.A. und B.R. vom 10. Dezember 1995) und wurde daufhin leider zu Anfang des Jahres 1996 komplett abgerissen.

 

 

      

(Bild folgt!)

 

(Bild folgt!)

 

(Bild folgt!)

 

Die zwischen Rampe/ Schuppen und dem Empfangsgebäude des Bahnhofes gelegene Freiladestraße wurde - nach Erzählungen `alter´ Odendorfer u.a. zur Anlieferung von Kohle und Briketts genutzt. Auch gab es hier in den 30er Jahren eine einachsige und aus Holz bestehende Viehladerampe - welche von den Kindern gerne als Wippe zweckentfremdet wurde. Im Jahre 1982 wurde die Bahnhofstrasse und das direkte Umfeld des Empfangsgebäudes vollkommen umgestaltet wobei eine großzügige Bushaltestelle sowie eine ausgedehnte Park&Ride- Anlage angelegt wurde. Seit Jahrzehnten wird dieser Teil der Lade- bzw. Bahnhofsstrasse - von der Einmündung Flamersheimer Strasse bis zum EG - auch als Aufstellplatz des Odendorfer Karnevalszuges genutzt.

 

 


Anschluß 1b:

Freiladestrasse/ Holzlagerplatz, später zusätzlich Landhandel (ab ca. 193?)

 

 Der sich an das Empfangsgebäude anschließende Teil der Freiladestrasse, entstand ebenfalls mit dem Bau des Bahnhofes. Laut dem auf October 1891 datierten Gleisplan, gab es hier 9 feste "abgephählte und nummerirte Lagerplätze" welche gepachtet werden konnten (Angaben aus: Anzeige in der "Euskirchener Zeitung" vom5. Mai 1880).

 

Spätestens auf dem Gleisplan vom Juni 1912, war diese Aufteilung allerdings nicht mehr vorhanden. Dieser Teil der Ladestrasse wurde Erzählungen und Berichten zur Folge u.a. zur Verladung von Stammholz verwendet. Teilweise muß die Ladestrasse mit wahren Bergen von Baumstämmen und geschnittenem Holz gefüllt gewesen sein.

 

An diesem Teil der Freiladestrasse lagen auch die Gleiswaage (zum Wiegen der beladenen Waggons) und das Lademaß (zur Überprüfung des Lichtraumprofils der beladenen Waggons). Das Fundament der zur Gleiswaage gehörenden Wellblechhütte, ist noch heute (Stand: November 2009) auf Höhe der mittleren Bahnsteigtreppe im Boden der ehemaligen Ladestrasse zu sehen:

 

 

   

 

 

 

 

 Gegen Ende der 30er Jahre entstand am - in Richtung Kuchenheim gelegenen - Ende dieser Ladestrasse noch ein recht großer Schuppen für den Landhandel und zur Getreidelagerung. Dieser wurde nach mehreren Um- und Anbauten noch bis etwa zum Jahre 2002 genutzt und schließlich nach dem Tod des Eigentümers/ Betreibers des Landhandels abgerissen.

 

 

Der Schuppen - fast - in seinem ursprünglichem Aussehen (erster Anbau nach hinten)

(Ausschnitt aus einer Luftaufnahme von 1965).

 


Anschluß 1b/2:

Feldflugplatz (ab 1939)

 

Der Anschluß "Feldflugplatz" entstand mit der Einrichtung desselben im Jahre 1939. Der Flugplatz lag im Bereich zwischen dem heutigen "Bendenweg" und der "Südstrasse" auf dem gebiet des jetzigen Neubaugebietes "Im Swisttalgarten". Entstanden ist der Anschluß einfach durch eine Verlängerung des eigentlichen Anschlusses 1b in Richtung Kuchenheim. Das Ende des Gleises lag nach der Verlängerung kurz hinter dem (ehemaligen) Bahnübergang der heutigen "Engelbert-Zimmermann-Strasse".

Über diesen Anschluß wurde der Feldflugplatz unter anderem per Kesselwaggons mit dem notwendigen Treibstoff für die Flugzeuge der dort - meist nur für kurze Zeit stationierten - Geschwader versorgt.

 

Die folgenden Aufnahmen entstanden vermutlich beide im Mai 1940:

Auf dem linken Bild ist eine Maschine des Typs Dornier Do17 auf dem Feldflugplatz in Odendorf zu sehen. Die Baumreihe im Hintergrund liegt an der heutigen B56, davor liegt die Bahnstrecke Bonn - Euskirchen.

Das rechte Bild zeigt eine Maschine des Typs Focke-Wulff FW 200 "Condor" in Odendorf. Obwohl das Bild keinen direkten Bezug zum eigentlichen Gleisanschluß hat, zeigt es doch eine längst verschwundene Odendorfer Eisenbahntechnische Einrichtung: das Bahnwärterhaus am heutigen Bahnübergang an der B56.

  

 

  Rechts im Hintergrund sind schwach etwa zwei bis drei gedeckte Güter-            Links im Hintergrund (unterhalb der beiden Motoren, ist das      

           waggons auf dem Anschluß des Flugplatzes zu erkennen.                                    Bahnwärterhaus an der heutigen B56 zu erkennen.

                   (Abbildung: Sammlung Bahnhof-Odendorf/ A. St.)                                            (Abbildung: Sammlung Bahnhof-Odendorf/ A.St.)

 

 Vom Feldflugplatz in Odendorf sind bisher 29 Photos bekannt und es existieren sogar einige Minuten mit Farbfilmaufnahmen - u.a. mit der gleichen Blickrichtung wie die beiden oben gezeigten Photos - , welche zwar eine ganze Reihe Flugzeugtypen (Ju52, Ju87, ME109, etc) aber leider keinen Zugverkehr zeigen. Die Flugplatzkommandantur befand sich im Bereich hinter dem Toiletten-/ Stallgebäude, zwischen den Bahnhofsgärten und dem heutigen "Bendenweg".

 


                                                                                                                                          Anschluß 4a:

Lagerplatz (nach 1927)

 

Dieser Anschluß lag - von Essig kommend - auf der rechten Strassenseite direkt vor dem Bahnübergang (hinter dem heutigen "Kirschenpfad"). Zu diesem Anschluß ist leider noch nicht allzuviel bekannt. Die einzigen gesicherten Informationen konnten bisher aus den Gleisplänen der verschiedenen Jahre entnommen werden.

 

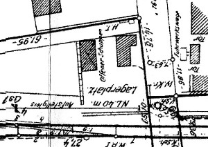
Der Lagerplatz findet sich das erste Mal auf dem Gleisplan vom Juni 1912, mit einem als "Schwemmsteinschuppen" bezeichnetem Gebäude direkt an der Strasse. Zu diesem Zeitpunkt allerdings noch ohne den Gleisanschluß. Auf dem Gleisplan vom 20. März 1927 gibt es inzwischen ein sogenanntes Ausziehgleis, welches bis an das Gelände führt. Der Lagerplatz selber ist durch ein, als "Offener Schuppen" bezeichnetes, Gebäude ergänzt worden.

 

 

   

Der Ausschnitt aus dem 1927/ 1940er Gleisplan.

 

Das bisher einzige Bild der Gebäude in der Bildmitte

(Ausschnitt aus einer Luftaufnahme von 1965).

 

Auf der vom 25. Mai 1940 datierten Berichtigung des 1927er Planes, ist das Gleis sodann endgültig bis auf den Lagerplatz selber verlängert ("n. L. 40m") worden, gesichert war das Gleis zum Gleis 4 hin durch eine Gleissperre.

Auf der weiteren Berichtigung ("nach den Angaben der Bm Rheinbach") des 1927er Planes vom 28. Oktober 1950 sind erneut zwei weitere Gebäude (ohne Bezeichnung) hinzugekommen. Die Existenz des Anschlusses läßt sich anhand der vorliegenden Pläne und Luftaufnahmen bis 1966 nachweisen. Danach gibt es bisher (Stand November 2009) keine weiteren Informationen.

 

Nach Gesprächen mit einer Anzahl von `alten´ Odendorfern besteht derzeit die Vermutung, das dieser Lagerplatz/ Anschluß ab 1912 zum gegenüberliegenden Anschluß 1a gehört haben könnte, da er zu demselben Zeitpunkt auf den Plänen erscheint, wie der dort an der Viehladerampe erbaute erste Teil des Schuppens für die Firma "Herz & Söhne".

 

Die Eheleute Schuldt erinnern sich, das dieser Lagerplatz ebenfalls zum Landhandel Kraemer gehörte. Dort wurden u.a. Düngemittel gelagert, welche zuvor per Waggon angeliefert worden waren. Eine Umfriedung (Mauer/ Zaun) gab es nicht. Die Bauern fuhren mit ihren Fuhrwerken direkt von der Strasse aus vor und bekamen ihre Ware aufgeladen.

 

Auf dem Gelände dieses Lagerplatzes/ Anschlusses stand später (ab Ende der 60er Jahre -?- ) das kleine Gebäude des Schrankenpostens, welcher schließlich selber im März 1985 abgerissen wurde (G.A. Artikel vom 23.03.1895).

 

   

Blick aus Richtung BÜ / Robert Koch Strasse.

 

Vorne die Essiger Strasse, rechts der Kirschenpfad.

Heute befindet sich hier eine kleine Grünfläche mit einigen Bäumen.

 

Axel Strell | Alle Rechte vorbehalten, Copyright 10/2009